Service Guide

Get Ants Extermination Service

Local contractors offer ant extermination services to eliminate infestations and protect properties from damage caused by these pests.

Ants can quickly become a persistent nuisance for property owners, making effective extermination services an important consideration. Whether dealing with an ongoing invasion or proactive prevention, residents and business owners in the area often seek reliable local contractors to handle ant control efficiently. Exploring options in the community allows property owners to compare approaches and find solutions tailored to their specific needs, ensuring a pest-free environment.

Understanding the importance of selecting the right service providers can help in planning pest management projects with confidence. Local contractors specializing in ants offer a range of solutions designed to address different situations and property types. Continuing to explore available options can assist in making informed decisions, helping to safeguard properties from future ant problems.

Get Ants Extermination Service Quotes

  • Ants Extermination - needed when ants have invaded a home or business and are difficult to control.
  • Ants Barrier Treatment - required to prevent ants from entering a property during seasonal infestations.
  • Ants Nest Removal - necessary when ant colonies are found inside walls, under floors, or in yard areas.
  • Indoor Ant Control - sought when ants are actively foraging inside living spaces, disrupting daily activities.
  • Outdoor Ant Management - used to reduce ant populations around the perimeter of a property and protect landscaping.
Ants Extermination Service
Ants Extermination Service
Ants Extermination Service

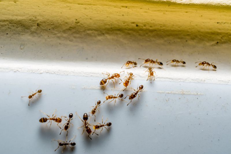
Ants extermination services involve identifying and eliminating ant infestations within residential or commercial properties. Professional contractors typically conduct a thorough inspection to locate ant colonies and determine the species involved. Treatment methods may include targeted baiting, applying insecticidal barriers, or using specialized dusts to ensure that the ants are effectively eradicated. These services aim to eliminate active colonies and prevent future invasions, helping property owners restore comfort and cleanliness.

Ant problems often arise from outdoor sources such as gardens, landscaping, or nearby wood structures that provide easy access points for ants to enter buildings. Common signs of an infestation include visible trails of ants, increased ant activity around entry points, or the presence of nests in walls, foundations, or behind appliances. Ants can be more than just a nuisance; some species may contaminate food supplies or cause structural damage over time. Professional extermination helps address these issues quickly and thoroughly, reducing the risk of ongoing or recurring problems.

Property types that typically benefit from ants extermination services include single-family homes, apartment complexes, restaurants, and retail stores. Homes with gardens or pet food areas are particularly vulnerable to ant invasions, especially during warmer months. Commercial properties such as food service establishments or grocery stores often require regular pest management to meet health standards and prevent infestations that could disrupt operations. Whether a property is residential or commercial, local service providers can tailor treatments to fit the specific needs and layout of each property.

When ants become a persistent problem, it’s usually a sign that a colony is established nearby or inside the structure. Homeowners and property managers should consider professional extermination if they notice frequent ant trails, new entry points, or if previous DIY efforts have failed to resolve the issue. These services are designed to target the source of the infestation, eliminate the colony, and help maintain a pest-free environment. Connecting with experienced local contractors can ensure that effective, safe, and discreet ant extermination solutions are implemented promptly.

The overview below groups typical Ants Extermination Service projects into broad ranges so you can see how smaller, mid-sized, and larger jobs often compare in your area.

In many markets, a large share of routine jobs stays in the lower and middle ranges, while only a smaller percentage of projects moves into the highest bands when the work is more complex or site conditions are harder than average.

Basic Ant Control - Many local contractors charge between $250 and $600 for routine ant extermination in small to medium-sized homes. Most projects in this range involve standard treatments and can be completed in a single visit. Larger or more stubborn infestations may push costs higher.

Extended Treatment Plans - For ongoing or multi-visit treatments, prices typically range from $600 to $1,200. These plans are common for properties with recurring ant issues or multiple affected areas, offering more comprehensive coverage.

Large or Complex Projects - Larger properties or severe infestations can cost $1,200 to $3,000 or more, especially if multiple treatments or specialized methods are required. Fewer projects fall into this highest tier, usually involving extensive or complicated ant problems.

Full Property Extermination - Complete property treatments, including yard and exterior areas, often range from $2,000 to $5,000+. Many local pros handle these projects, which are typically larger in scope and may include ongoing maintenance plans.

Actual totals will depend on details like access to the work area, the scope of the project, and the materials selected, so use these as general starting points rather than exact figures.

Get a Quote

Pest Control for Food Storage Facilities - Local contractors experienced in pest management can handle infestations in storage areas, utilizing similar inspection and treatment techniques as ant extermination.

Termite Inspection and Treatment Projects - These projects require detailed planning and the use of specialized tools to identify and eliminate wood-damaging pests, aligning with ant control methods.

Rodent Control Services - Removing rodents involves trap placement and baiting strategies, which share planning and pest identification skills with ant extermination services.

Bed Bug Removal Projects - Bed bug treatments involve thorough inspections and targeted treatments, requiring similar precision and planning as ant control efforts.

Spider Control Services - Managing spider infestations involves inspection and targeted application of treatments, paralleling the techniques used in ant extermination.

Mosquito Control Programs - These projects focus on habitat reduction and targeted treatments, employing planning and application skills comparable to ant pest management.

Ants Extermination Service

When comparing service providers for ant extermination, it’s important to consider their experience with similar projects. Homeowners should inquire about how long the local contractors have been handling ant control in the area and whether they have a track record of successfully managing cases like theirs. A provider with relevant experience is more likely to understand the specific challenges that may arise and to recommend effective solutions. While the site introduces homeowners to local options, it’s advisable to focus on contractors who have demonstrated expertise in pest management to ensure the job is handled competently.

Clear written expectations are essential when evaluating potential service providers. Homeowners should seek detailed information about the scope of work, what treatments will be used, and any follow-up procedures. Having this information in writing helps prevent misunderstandings and provides a basis for assessing whether the contractor’s approach aligns with the homeowner’s needs. The site aims to connect homeowners with local contractors, so reviewing the proposed procedures and expectations can be a helpful step in choosing a reputable professional.

Good communication and reputable references are key factors in selecting a reliable ant extermination service. Homeowners should look for contractors who are transparent about their methods and willing to answer questions. Asking for references or reviews from previous clients can provide insight into the contractor’s professionalism and effectiveness. Since the site’s role is to introduce homeowners to local options rather than perform the work itself, gathering feedback from others who have used the services can be a valuable part of the decision-making process. Clear, open communication and positive references contribute to finding a dependable local service provider.

Get an Ants Extermination Service Quote

Property owners use Ants Extermination Service services for practical projects around their homes and businesses. This guide focuses on everyday jobs and straightforward project options.

Ants Extermination Service
Ants Extermination Service

Ants can become a common nuisance for property owners dealing with everyday issues such as food contamination, disturbed outdoor spaces, or visible infestations inside the home. When ants invade kitchens, pantries, or other living areas, they can quickly become a persistent problem that disrupts daily routines. Local contractors specializing in ant extermination are equipped to handle these situations, providing effective solutions to eliminate colonies and prevent future invasions.

In addition to indoor infestations, outdoor ant problems can also impact the enjoyment of gardens, patios, and yard spaces. Property owners may seek the assistance of local service providers to address ant mounds or trails that threaten plant health or create hazards. These professionals can assess the situation and implement targeted treatments to restore comfort and safety around the property.

Get an Ants Extermination Service Quote

What signs indicate an ant infestation? Common signs include visible trails, ant mounds around the property, and finding ants inside cabinets or on countertops.

How can ants be prevented from entering a home? Sealing entry points, keeping food stored properly, and maintaining cleanliness can help reduce the chances of ants getting inside.

What types of ants do local contractors typically handle? They often deal with common household ants such as odorous house ants, carpenter ants, and pavement ants.

Are ant extermination services safe for pets and children? Most local service providers use methods that are safe when applied as directed, but it's best to discuss any concerns with the contractor beforehand.

What areas do ant extermination services cover? These services generally cover residential, commercial, and outdoor spaces where ants are present or likely to appear.

Preventative Treatments - Property owners can schedule regular ant treatments to reduce the likelihood of infestations before they start.

Infestation Removal - When ants become a problem, local contractors can provide targeted removal solutions to eliminate colonies.

Barrier Solutions - Applying barrier treatments around foundations and entry points helps keep ants from entering living spaces.

Inspection Services - Routine inspections by service providers can identify early signs of ant activity and plan effective control strategies.

Ants Extermination Service

If you are thinking about Ants Extermination Service for a property, this guide is meant to help you understand the work, the typical project types, and how different options might fit your plans.

When you are ready, you can use the quote form on this page to share a few details about your project. From there, local pros can review the basics and respond with options that match what you have in mind.

Get a Quote

Ants Extermination Quotes

Our Trusted Partners
Backwoods Animal Removal
Bulwark Exterminating
Venning Pest Control